हमारी धरती जल,थल और नभ इन तीनो से मिलकर बनी है,इनसे से लगभग दो नभ एवं थल से हम लोगों का वास्ता अमूमन पड़ ही जाता है। थल में तो हमारा खुद का ही रैन बसेरा है,आकाशीय जीवो को भी हम देख लेते हैं। जैसे कभी उड़ती चिड़िया देख ली या कभी बाल हठ में आकर उड़ती हुयी तितली ही पकड़ ली ,वैसे अब तो वायुयानों में बैठकर खुद भी उड़ने लगे हैं।जलीय दुनिया से हम लोगों का साक्षात्कार अभी भी थोडा कम ही है। मनुष्य तो शुरू से ही थोड़ा अलग प्रकार का प्राणी रहा है, वो दुनिया में तो रहना ही चाहता है और इसके साथ-साथ दूसरी दुनिया में भी अपना साम्राज्य स्थापित करना।ऐसे स्वभाव का मालिक होने के बाद भले ही वो किसी जगह अपनी पैठ बनाने कामयाब नहीं भी हो पर उस दुनिया से साक्षात्कार का मौका किसी भी हालत में नहीं छोड़ सकता। वैसे भी अनजानी दुनिया को देखने का आकर्षण सबसे ज्यादा रहता है ,इसलिए जलीय जीव जंतुओं की दुनिया भी मानव की इस प्रवृति से अछूती नहीं रह पाई और समुद्र के पानी में उतर कर वहां विचरण करने के भी कई उपाय मानव जाति ने कर डाले। अभी तक मेरी जानकारी में तीन तरीकें है-
१-Snorkeling स्नोर्कलिंग
२-Sea Walkin सी वाकिंग
३-Scuba diving स्कूबा डाइविंग
अंडमान जैसी जगह जो कि स्कूबा डाइविंग और स्नोर्कलिंग के लिए प्रसिद्ध है ,जाने के बाद जलीय जीवों से साक्षात्कार का मोह कम ही लोग छोड़ पाते हैं वो ही हमारे साथ हुआ। पहले जॉली बॉय में स्नोर्कलिंग का आनन्द उठाया और फिर हैवलॉक में स्कूबा डाइविंग का। हालाँकि मैं पहले स्कूबा के लिए मानसिक रूप से तैयार नहीं थी,पर जिस दिन डाइविंग के लिए जाना था उसके पहले दिन रात को अचानक मेरे अन्दर का सोया हुआ रोमांचकारी इंसान जाग गया और मैं भी तैयार हो गयी स्कूबा डाइविंग के लिए। अगले दिन सुबह सात बजे बेटी को अपनी मौसी लोगों के साथ छोड़कर निश्चिंतता से हम लोग जीप में सवार हो कर डाइविंग लोकेशन की तरफ चल पड़े। ये अवसर हमारे लिए परिवार के साथ जाने के कारण ही बन पाया था, अकेले जाते तो साथ में स्कूबा डाइविंग करना सिर्फ एक सपना ही रह जाता। साइट पर पहुंचे तो पता लगा अभी डाइविंग इंस्ट्रक्टर नहीं आये हैं तो हम आस-पास के फोटो ही खींचने लगे। हमरी डाइविंग साइट गोविंदनगर की तरफ थी, पर जिस स्कूल के द्वारा हमें डाइविंग करवाई गयी उसका नाम दिमाग से बाहर गया है। वो बंदा पहले मालवाण में डाइव करवाता था उसके बाद हेवलॉक में शिफ्ट हुआ था। यहाँ पर से पहले पानी और फिर मैंग्रोव के जंगल दिखाई दे रहे थे। सुबह का समय होने के कारण मौसम भी बहुत अच्छा था -
 |
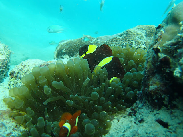
| डाइविंग साइट से एक दृश्य,सुबह का समय और मोबाइल से खींची फोटो दोनों की वजह से उतना अच्छा नहीं हो पाया। |
इतना होते होते हमारे इंस्ट्रक्टर जी भी आ पहुंचे,जिन्होंने हमसे एक फॉर्म भरवाया जिसमे हमारी मेडिकल फिटनेस,इमरजेंसी कांटेक्ट,घर का पता ,होटल का एड्रेस जैसी जरूरी जानकारी देनी थी। उसके बाद स्कूबा डाइविंग के लिए बना हुआ स्विम सूट ,जूते वगेरह दिए। इसके साथ एक ऑक्सीजन का सिलिंडर भी लगाना होता है जो बहुत भारी होता है। हम दो लोग थे और हमारे साथ जाने वाले भी दो लोग थे एक इंस्ट्रक्टर और एक फोटोग्राफर। वो लोग ही काफी आगे तक हमारे सिलिंडर ले के आये। कदम दर कदम हम समुद्र की तरफ बढ़ रहे थे,शायद नीचे समुद्र थोड़ा पथरीला हो जो पैरों में लग रहा था। आगे बढ़ते हुवे एक क्षण ऐसा आया जब हम गर्दन तक समुद्र के आगोश में आ गए। यहाँ पहुँचने के बाद हमें इक्यूपमेंट और सिलिंडर लगा दिया गया। यहाँ पर सिलिंडर का भार बिलकुल भी पता नहीं लग रहा था।

इसके बाद हमारी ट्रेनिंग प्रारम्भ हुई कि कैसे साँस लेनी है ,किस तरफ मुंह में पानी चला जाये तो उसे निकालना है ,आगे जा के क्या क्या परेशानी हो सकती है। अब अंदर जा के बात तो कर नहीं सकते तो किस तरह से अपनी परेशानी गाइड को बतानी है। उन्होंने हर बात को इशारों में समझाना हमें सीखा दिया। अब आगे बढ़ना था ,मेरे दिमाग में ये ही सवाल था कि अगर समुद्र का पानी आ के जा के मुंह में भर गया तो कैसे निकालेंगे,अभी तो हवा में हैं आसानी से निकल जा रहा है काश की एक हेलमेट मिल जाता जिससे मुंह में पानी न भरे पर ऐसा हेलमेट तो सी वाकिंग में मिलता है। पर मन ये विश्वास करने के बाद कि डर के आगए जीत है आगे बढ़ने का सोच लिया। भगवान का नाम ले के थोड़ा ही आगे बढ़ थे कि नीचे पानी के अन्दर की रंग बिरंगी दुनिया हमारे स्वागत को तैयार बैठी थी ,कहीं पर मछली तो कहीं कोरल ,कही सीपियाँ,मन तृप्त हो गया इन्हे देखकर। करीब बारह फ़ीट नीचे जाने के बाद थोड़ा कान में जोर पड़ने लगा तो गाइड को इशारा किया "नोट ओके ,वापस ले चलो " और हम समुद्री दुनिया से एक छोटी सी मुलाकात कर के वापस उपर आ गए। प्रति व्यक्ति डाइविंग की कीमत तीन हजार पांच सौ रूपया थी जिसमे उन्होंने हमारी फोटोज की एक सीडी भी दी थी।खैर पैसा तो आना जाना है और यहाँ पर वो जाते जाते हमें एक लाइफ टाइम का एक्सपीरियंस दिला गया।
 |
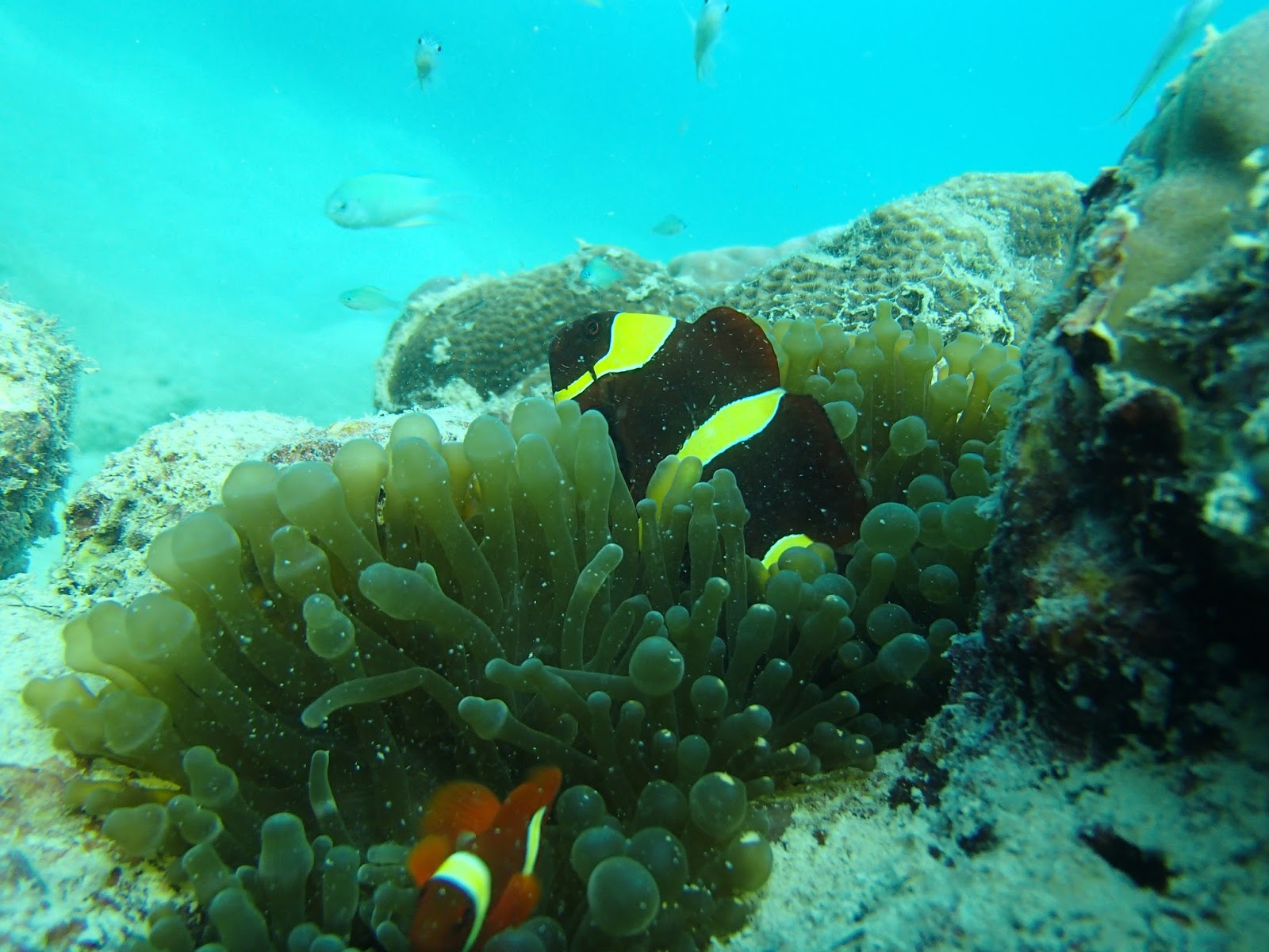
| मछली जल की रानी है। |
 |
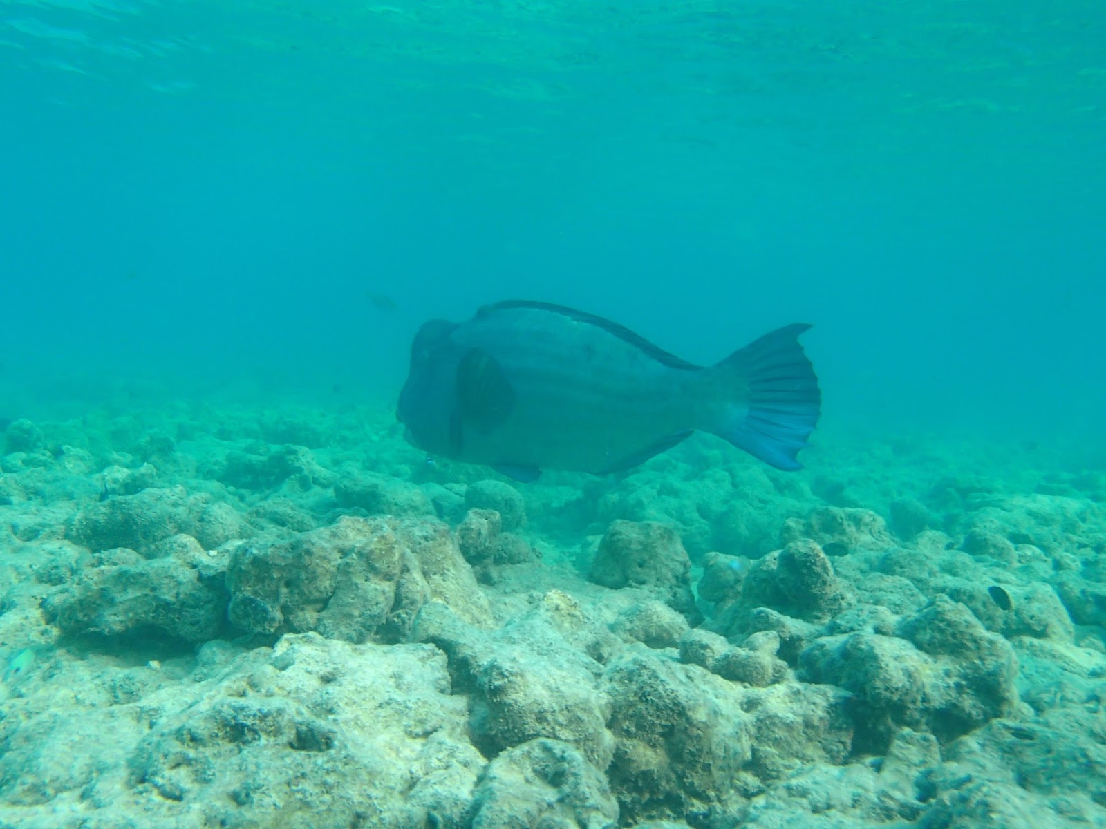
| एवरीथिंग इस ओके |
जो लोग स्कूबा डाइविंग करने की हिम्मत नहीं जुटा पाते हैं उनके लिए एक ओर तरीका है जो स्नोर्कलिंग के नाम से जाना जाता है ये थोडा आसान है क्योंकि इसके लिए हमें समुद्र में नीचे उतरने की जरूरत नहीं होती है ।जी हाँ इसमें हम समुद्र तट पर रहकर ही आनंद ले सकते हैं ।हमें बस इतना करना होता है कि एक मास्क लगाना होता है और सर नीचे कर के देखना होता है और जो चश्मा हमने पहना होता है उसमे मैग्नीफाइड लेंस लगा होता है जिसके द्वारा हम लगभग समुद्र के ऊपरी तल पर रहकर ही समुद्री दुनिया देख सकते है।स्कूबा डाइविंग करने से पहले एक बार स्नोर्कलिंग कर लेनी चाहिए जिससे थोडा कॉन्फिडेंस बढ़ जाता है।इसका खर्च प्रति व्यक्ति तीन सौ से चार सौ के मध्य रहता है जिसका अनुभव हमने जॉली बॉय आइलैंड में किया था ।स्नोर्कलिंग करते हुए इस अवस्था में रहना होता है -
 |
| स्नोर्कलिंग |
तीसरा तरीका है सी वाकिंग,इसमें स्पीड बोट में बैठाकर बीच समुद्र में ले जाया जाता है। यहाँ पर एक हेलमेट पहना कर बोट से जुडी हुयी सीढ़ियों से उतार कर नीचे ले वहां तक ले जाया जाता है जहाँ पर लगभग रेत का सीधा मैदान सा आ जाता है और वहां चलकर अपने आसपास मछली वगेरह को देख सकते हैं। इसका टिकट सत्ताईस सौ था पर ये हमने नहीं किया।एलिफेंटा बीच पर सी वाकिंग कराने के लिए खड़ी बोट को जरूर देखा था क्योंकि सिर्फ देखने का कहीं भी कोई पैसा नहीं लगता है।
 |
| सी वाकिंग के लिए खड़ा बोट |
एक और आसान सा तरीका है ग्लास बॉटम बोट,जिसके बारे में जिक्र करना तो मैं भूल ही गयी,ये उन लोगों के लिए है जो बिलकुल भी पानी में उतरने की हिम्मत नहीं कर पाते हैं। इसमें लोगों को एक बोट जिसके निचले तले में मैग्नीफाइड लेंस लगा होता है में बैठाकर समुद्र में ले जाते हैं और बोट के तले में देखने पर उनलोगों को भी बिना पानी में उतरे समुद्री सम्पदा के दर्शन हो जाते है।
अंडमान का सफर एक नजर में -